ระนองจังหวัดเล็กๆ ที่หลายคนน่าจะเคยผ่านไปผ่านมาแต่ยังไม่ได้แวะเที่ยว
วันนี้เราขอพามาแนะนำที่เที่ยวจังหวัดระนอง ที่อยู่นอกเมืองไปหน่อย นั่นก็คือทริป ระนอง 3 เกาะ นั่นเอง
รับรองเลยว่าเกาะระนอง 3 เกาะนี้สวยจริง ไม่จกตาอย่างแน่นอน! 👀
Blog นี้เป็นการมาระนองครั้งที่ 4 ของเรา แต่เป็นครั้งแรกที่ได้เที่ยวทะเลและเกาะที่อยู่ในเขตระนองจริงๆ ขอบอกว่าว้าวมาก!!!
ทริประนอง 3 เกาะ 🏝 จะประกอบไปด้วย เกาะค้างคาว เกาะกำตก และเกาะญี่ปุ่น
ถ้าใครเคยไปเกาะพม่าโดยข้ามฝั่งจากระนองไปแล้ว ขอบอกเลยว่าเกาะค้างคาวนี้บนหาดสวยไม่แพ้กันค่ะ
สำหรับทริปนี้เราเริ่มต้นกันที่ท่าเรือบางเบน ขับยาวๆ เข้ามาสุดทางได้เลย
ทริปในแต่ละวันอาจแตกต่างกันไปบ้าง เนื่องจากสภาพอากาศและกระแสน้ำว่าจะได้ไปเกาะไหนก่อน แต่สำหรับวันนี้ เราเริ่มต้นที่เกาะค้างคาว
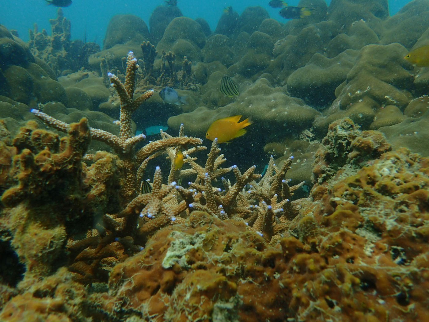
จุดนี้จะเป็นจุดที่หาดสวยมากกกกก พอถ่ายรูปเสร็จเรียบร้อยแล้ว เราก็มาดำน้ำกันที่เกาะค้างคาว 🤿
นีโม่แน่นแบบตกใจ มีหลายกอแบบนับไม่ถ้วนแล้วมีหลายตัวในแต่ละกอด้วย ไม่เคย snorkeling แล้วเจอนีโม่เยอะขนาดนี้ในไทยเลย 🐠
ที่นี่น้ำไม่ลึกมาก เรียกว่าตื้นเลยแหละใครที่ดำน้ำไม่เป็นก็ไม่ต้องห่วงกลัวว่าจะมองไม่เห็นเลย
ถัดจากเกาะค้างคาว เรามาต่อกันที่เกาะกำตก แวะเล่นน้ำชายหาด
แล้วต่อด้วยการทานอาหารกลางวันที่นี่ ซึ่งขอบอกเลยว่า อิ่มยิ่งกว่าอิ่ม ทั้งอาหารใต้และซีฟู้ดสดๆ
เมื่อทานอาหารเสร็จแล้วพี่ไกด์ก็จะเรียกเราให้เตรียมขึ้นจุดชมวิวอ่าวเขาควาย ⛰
ทางขึ้นจุดชมวิวมีเชือกให้จับตลอดทาง ระดับความเหนื่อย = น้อย แต่ว่าชันมาก! (ขึ้นไม่ยากนะ สาวๆ เชือกไป)

ปิดท้ายกันด้วยเกาะญี่ปุ่น เกาะนี้เราแวะมาถ่ายรูปก่อนกลับ และมาพร้อมกับฝนเลย จากเกาะนี้คือมองเห็นทั้งวิวเกาะ และฝั่งแผ่นดินใหญ่สวยมากๆ
🚘 สำหรับการเดินทาง เราจองทริปกับ iLoveRanong84 ทางทริปจะมีสองแถวไม้รับ-ส่งจากตัวเมืองระนอง หรือถ้าใครเช่ารถไว้จะขับรถมาเจอที่ท่าเรือบางเบนก็ได้
🎟 ราคาน่ารักกรุบกริบเพียง 1,250-1,500 บาทเท่านั้น! ถ้าไปหลายคนลองสอบถามราคาเหมาๆ ได้เลย!
ราคานี้พร้อม ตากล้องฝีมือดีถ่ายรูปให้ไม่อั้น! 📸, รับ-ส่งในระนอง, ซีฟู้ดแน่นๆ 1 มื้อ, ไกด์สุดเฮฮา, อุปกรณ์ดำน้ำ และประกันการเดินทาง
จองเลย กับ ILoveRanong84 รับรองไม่ผิดหวังจริงๆ
#เจอนั่นJourney x #ระนอง
#เที่ยวเมืองรอง #Ranong #iLoveRanong84 #เที่ยวระนอง #ที่เที่ยวระนอง

























